皇冠信用網正网_上海明后天将有大暴雨,或为1981年以来11月最大降雨
皇冠信用网足球代理皇冠代理开户
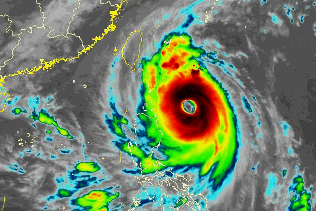
台风“康妮”动态:加强为超强台风皇冠信用網正网,逐渐向台湾岛靠近
今年第21号台风“康妮”,今天早晨增强为超强台风,11时其中心位于距离台湾省台东市东南约520公里的太平洋洋面上,中心附近最大风力有17级,中心最低气压为925百帕,七级风圈半径380~480公里皇冠信用網正网。
预计“康妮”将以每小时15~20公里的速度向西北方向移动,强度还将有所增强,将于31日中午到下午在台湾岛南部或中部登陆,尔后沿浙闽沿海一带近海北上(也可能在上述沿海地区登陆或擦过),强度迅速减弱皇冠信用網正网。
台风外围联手冷空气皇冠信用網正网,周四傍晚至周五大暴雨
展开全文
降水预报:注意防范大暴雨
受“康妮”外围环流和冷空气共同影响,10月31日下午起上海市将出现阵雨天气,傍晚开始雨势增强,强降水将持续到2日凌晨,降水集中时段出现在31日半夜至11月1日白天皇冠信用網正网。过程累积雨量大暴雨(120~180毫米),上海市东南部地区雨量更显著(局部可达220~280毫米),可能成为上海市1981年以来11月最大降水过程。
注意防范大风
31日夜里起上海市风力逐渐增大,11月1日最大陆地阵风8~9级,高层建筑及沿江沿海地区阵风9~10级,洋山港区阵风10~11级,2日下午风力逐渐减弱皇冠信用網正网。
天气提示
台风影响前可适量储备饮用水和食物皇冠信用網正网。台风影响期间尽量减少外出。
防范大风皇冠信用網正网。妥善收起室外物品,防止高空坠物。不要在临时建筑物附近躲避风雨,车辆停靠远离大树等。
此次过程具有极端性,强降水可能造成局部积水,如在户外注意不要轻易涉水皇冠信用網正网。
“康妮”影响期间正值天文大潮期,注意提防风暴增水影响,低洼处有需注意防范皇冠信用網正网。
此次过程对交通有较大影响,注意及时了解出行信息皇冠信用網正网。
注意及时了解预报预警信息皇冠信用網正网。
后期天气趋势:下周冷空气影响皇冠信用網正网,气温进一步下降
明天上海逐渐受到“康妮”外围影响,云系增多,下午开始转雨,全天气温在18~23℃之间皇冠信用網正网。明天夜间到周五降雨明显,同时风力增大。降雨和冷空气影响,周五和周六气温下降,最高气温仅20℃。周日上海天气恢复平静。下周还有一次冷空气过程,上海以多云天气为主,气温进一步下降。
猜你喜欢
- 2025-10-07皇冠信用網账号_离谱!妈妈让儿子高速下车路边方便,解决完后跟随车流跑回来找她
- 2025-10-06外围买球app十大平台_妻子抄起20斤油桶砸老公,“晚10秒,后果不堪设想……”
- 2025-10-06皇冠信用网代理_尤文图斯与AC米兰的巅峰对决:大名单揭晓,伤病名单暗藏玄机
- 2025-10-05皇冠信用网注册_1336万人次!吉林太火了!
- 2025-10-05皇冠信用网申请_萨卡在英超200场里程碑破门,亨利之后的阿森纳新星!
- 2025-10-04皇冠信用最新地址_石家庄气温即将急转直下!假期后半程雨雨雨模式开启
- 2025-10-04皇冠信用網出租代理_布克24分里夫斯20分 太阳103-81大胜湖人
- 2025-10-04皇冠信用網代理流程_以官员:特朗普积极回应哈马斯 内塔尼亚胡感到意外
- 2025-10-04皇冠信用需要押金吗_沪昆高速一车辆被曝车尾底盘下装黄色远光灯长时间闪后车,交警:已对其进行相应处罚
- 2025-10-04皇冠信用网怎么代理_又把高端玩成“白菜”,中国钛合金迫击炮来了,看后谁敢不服?
- 2025-10-03皇冠信用網账号申请_涉嫌严重职务违法犯罪,胡宏被查!官方披露:多次收受奢侈品包、手机、海鲜
- 2025-10-03皇冠信用網代理怎么申请_卡纳瓦罗新挑战:52岁意大利传奇出任乌兹别克斯坦主帅,国足梦碎
网友评论